南城新基停车场项目公开招标 

镇区   来源:莞讯网  责任编辑:百花残  2019-07-16 15:24:34

  南城新基停车场项目公开招标 
 
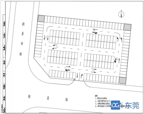
  南城街道日前发布公告,对新基停车场项目施工进行公开招标。新基停车场项目为社会停车场建设工程,包含停车位156个,预计今年9月完成建设。
 
  7月12日,南城街道发布新基停车场项目中标公示,中标单位为广东惠鸿建设工程有限公司。根据新基停车场招标文件,项目计划竣工日期为2019年9月1日。新基停车场由东莞市南城规划管理所批准建设,项目业主为东莞市南城街道新基股份经济合作社,建设资金来自南城街道财政出资50%,东莞市南城街道新基股份经济合作社出资50% ;项目为社会停车场建设工程,项目总用地面积约4018.25平方米,包含停车位156个,岗亭1个,道闸1个,工程造价约125万元。
 
  新基停车场项目建设地点为新基社区新基路北侧,地处新基路与新基南路交汇处,附近有产业园,商业气息浓厚,将大大方便市民停车。
 
  去年,南城街道深入推进停车场建设,全年新增车位1000个,进一步缓解“停车难”问题;今年,也将持续推进停车场建设三年计划,计划年内新建15个停车场,增加车位3000个。 (记者 付碧强)(来源:i东莞)

点击进入莞讯网首页>>

品牌介绍 | 广告服务 | 版权声明 | 联系我们 | 网站地图 | RSS订阅 | DMOZ目录
本站部分资料来源于互联网转载和网友发布,如侵犯您的权益,请联系我站客服,我们将尽快处理,谢谢合作!
Copyright © www.guannews.com Inc. All Rights Reserved.莞讯网